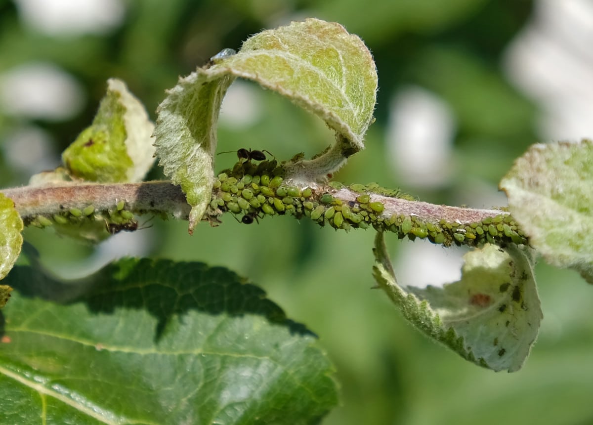
Les pucerons, ces petits insectes nuisibles, peuvent rapidement ravager votre jardin en s’attaquant aux plantes et en se multipliant à une vitesse fulgurante. Heureusement, il existe plusieurs méthodes efficaces pour éliminer ces parasites et protéger vos précieuses plantes. Dans cet article, nous vous présenterons des solutions naturelles, écologiques et économiques pour combattre les pucerons et retrouver un jardin sain et florissant.
1. Utilisez le marc de café comme répulsif
Le marc de café est une alternative écologique et économique pour lutter contre les pucerons. Riche en azote, potassium et phosphore, il constitue un répulsif naturel efficace contre ces nuisibles. De plus, il contribue à améliorer la qualité du sol de votre jardin. Pour utiliser cette méthode, il suffit de récupérer le marc de café utilisé et de le disperser autour des plantes attaquées par les pucerons. Vous pouvez également diluer le marc dans de l’eau et pulvériser cette solution sur les feuilles infestées.

2. Utilisez un mélange d’eau et de savon
Un remède simple et efficace consiste à préparer un mélange d’eau et de savon doux. Diluez quelques cuillères à soupe de savon dans un litre d’eau tiède. Vaporisez ce mélange sur les parties infestées des plantes, en insistant sur les zones où les pucerons sont les plus nombreux. Le savon étouffera les pucerons en enrobant leur corps, ce qui les empêchera de se nourrir et de se reproduire.
3. Introduisez des insectes auxiliaires:
Les coccinelles et les chrysopes sont des prédateurs naturels des pucerons. Vous pouvez les attirer dans votre jardin en plantant des fleurs aux propriétés attractives pour ces insectes bénéfiques. Ils se nourrissent activement des pucerons et contribuent à réduire leur population de manière naturelle. Vous pouvez également acheter des larves de coccinelles ou de chrysopes dans les magasins spécialisés et les relâcher dans votre jardin.

4. Préparez des infusions à base de plantes
Certaines plantes ont des propriétés répulsives pour les pucerons. Préparez une infusion en mélangeant de l’ail écrasé, du piment ou des feuilles de tomate dans de l’eau bouillante. Laissez infuser le mélange pendant quelques heures, filtrez-le, puis pulvérisez-le sur les plantes infestées pour éloigner les pucerons. Veillez à tester le mélange sur une petite partie de la plante avant de l’appliquer largement pour éviter tout effet indésirable.
Vous pouvez également préparer une infusion en faisant bouillir des feuilles de menthe, d’absinthe ou de tanaisie dans de l’eau.
5. Utilisez du lait comme traitement naturel
Une astuce peu connue pour se débarrasser des pucerons est l’utilisation du lait. Diluez 100 ml de lait dans 900 ml d’eau et vaporisez ce mélange sur les plantes infestées. Le lait contient des substances qui sont toxiques pour les pucerons, aidant ainsi à les éliminer. Répétez cette pulvérisation régulièrement pour de meilleurs résultats. Veillez à utiliser du lait écrémé ou du lait entier, car le lait enrichi en matières grasses pourrait laisser des résidus gras sur les feuilles.

6. Servez-vous du vinaigre blanc
Le vinaigre blanc est un autre remède naturel pour éliminer les pucerons. Mélangez une partie de vinaigre blanc avec trois parties d’eau, puis vaporisez cette solution sur les parties infestées des plantes. Le vinaigre blanc perturbe le système respiratoire des pucerons et les fait fuir.
7. La puissance de la fécule de pomme de terre
La fécule de pomme de terre agit comme un piège collant qui capture les moucherons adultes et les empêche de se reproduire. Voici comment procéder :
- Mélangez une cuillère à soupe de fécule de pomme de terre avec une tasse d’eau tiède pour créer une pâte épaisse.
- Appliquez délicatement cette pâte sur des petits morceaux de carton ou de papier d’aluminium.
- Placez les pièges collants près des plantes infestées par les moucherons. Assurez-vous de les positionner de manière à ce qu’ils soient visibles et accessibles pour les moucherons. Les moucherons seront attirés par la substance collante de la fécule de pomme de terre et resteront piégés sur les pièges.
- Vérifiez régulièrement les pièges et remplacez-les dès qu’ils sont remplis de moucherons.
La fécule de pomme de terre agit comme un agent collant qui entrave la capacité de vol des moucherons et les empêche de se reproduire. Cela aide à réduire leur population et à protéger vos plantes des dommages causés par ces nuisibles.

8. Le pouvoir du pamplemousse
Vous pouvez également utiliser du pamplemousse pour lutter contre les pucerons. Voici comment :
- Mélange de pamplemousse : Extrayez le jus d’un pamplemousse frais et diluez-le dans un litre d’eau. Vous pouvez également ajouter quelques gouttes de liquide vaisselle doux pour améliorer l’efficacité. Vaporisez cette solution directement sur les parties infestées des plantes. Les composés présents dans le pamplemousse agissent comme un répulsif naturel pour les pucerons.
- Écorces de pamplemousse : Une autre option consiste à récupérer les écorces de pamplemousse et à les placer autour des plantes sensibles aux pucerons. Les pucerons sont repoussés par l’odeur forte et l’amertume des écorces de pamplemousse.
L’huile essentielle de pamplemousse peut également être un outil précieux dans votre arsenal pour traiter les pucerons sur vos plantes. Grâce à ses propriétés répulsives et insecticides, cette huile essentielle offre une solution naturelle pour repousser les pucerons et protéger vos plantes. Pour l’utiliser, diluez quelques gouttes d’huile essentielle de pamplemousse dans de l’eau, puis vaporisez ce mélange sur les parties infestées des plantes.
9. Adoptez une hygiène rigoureuse:
Une bonne hygiène dans votre jardin est essentielle pour prévenir l’infestation des pucerons. Enlevez régulièrement les feuilles et les plantes infestées, car elles peuvent servir de refuge et de source de propagation pour les pucerons. Évitez également de suralimenter vos plantes en azote, car cela peut favoriser une croissance excessive qui attire les pucerons. Favorisez plutôt une alimentation équilibrée pour vos plantes, en utilisant des engrais naturels.
Il est important de noter que ces solutions naturelles peuvent nécessiter plusieurs applications et doivent être utilisées de manière régulière pour obtenir de bons résultats.
N’oubliez pas de tester ces solutions sur des petites parties de vos plantes avant de les appliquer largement pour éviter tout effet indésirable. En combinant ces méthodes naturelles et en restant vigilant, vous pourrez éliminer les pucerons de votre jardin de manière efficace et respectueuse de l’environnement.





































